-
'Bunk’Art & Science 2018'/ E premte 17: 00 Mateo Gelardi - Kur qelizat e trupit kthehen në vepra arti
A mund të kthehen qelizat tona në vepra arti? Kjo është një pyetje, përgjigjen e së cilës e jepsot, në Bunk’art 1, doktor Matteo Gelardi. Për herë të parë në një aktivitet të pazakontë që prezantohet në Shqipëri doktori italian do të shpjegojë se çfarë ndodh bren
21 Shtator 2018, 12:33 -
“BUNK’ART & SCIENCE 2018” nesër për herë të parë në Tiranë, hyrja falas
A mund të kthehen qelizat tona në vepra arti? Kjo është një pyetje, përgjigjen e së cilës e jep nesër, në Bunk’art 1, doktor Matteo Gelardi. Për herë të parë në një aktivitet të pazakontë që prezantohet në Shqipëri doktori italian do të shpjegojë se çfarë
20 Shtator 2018, 18:44 -
Masakra në Lushnje, Poli Hoxha: Aksioni u dekonspirua, komisariati në Lushnje duhet shkrirë
Mbrëmjen e sotme në emisionin Repolitix në Report Tv gazetari Artan Hoxha publikoi videon ekskluzive të momentit të vrasjes së dy të rinjve në Lushnje në vitin 2017 Zamir Latifi dhe Jurgen Hoxha, por dy autorët Laert Haxhia dhe Orges Bilbili janë të lirë. Pas ngjarjeve dhe faktit që autorët janë t&
19 Shtator 2018, 22:45 -
Mungesa e ujit të pijshëm në Kurbin e Krujë, ankesa e banorëve: Vetëm premtime elektorale, asnjë zgjidhje
igurimi i ujit të pijshëm është një sfidë për banorët e fshatit Shullaz të Kurbinit. Prej 30 vitesh në këtë fshat mungon uji, pasi ujësjellësi ka dalë jashtë funksioni. Në këto kushte banorët udhëtojnë çdo ditë 5 km në këmbë p&eu
19 Shtator 2018, 16:53 -
Receta e ditës - Tartë me spinaq, supë me mish të grirë e kos dhe ëmbëlsirë e shpejt me krem dhe biskota / Pjesa e dytë
Receta e dytë: Supë me mish të grirë dhe kos Përbërësit: 1 kokërr qepë 200 gr mish i grirë 1 karrotë 2 lugë gjelle miell 1 gotë kos 1 vezë 2 lugë gjelle gjalp
19 Shtator 2018, 09:01 -
“Bunk’Art & science 2018” për herë të parë në Tiranë, Dr. Gelardi sjell veprën në Bunk’art 1&2
Për herë të parë në Tiranë zhvillohet “Bunk’Art & Science 2018”. Nëpërmjet këtij aktiviteti treditor në Bunk’art 1 dhe Bunk’art 2 çdokush mund që të mësojë se si qelizat e trupit tonë kthehen në vepra arti. Në datë 21 shtator ora 17.00 do
18 Shtator 2018, 16:43 -
E quajti sharlatan, Gjykata pranon padinë e trajnerit Panucci kundër Nishanit
TIRANE-Gjykata ka pranuar padinë e trajnerit të kombëtares shqiptare të futbollit, Panucci kundër ish-presidentit Bujar Nishani, pasi ky i fundit e quajti sharlatan. Ish-Presidenti i Republikës Bujar Nishani u padit në gjykatë dhe i kërkohet të paguajë 100 mijë euro në formë dëmshpërblimi ndaj trajnerit italian t&
17 Shtator 2018, 18:36 -
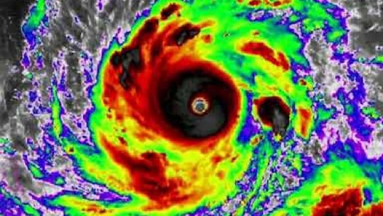
SHBA/ 15 viktima dhe mijëra të izoluar nga uragani Florence
Vijojnë përmbytjet në Karolinën e Veriut dhe të Jugut si pasojë e uraganit Florence ku të paktën 15 persona raportohen të vdekur deri më tani. Ndër zonat më të prekura nga uragani është qyteti bregdetar Wilmington me 120,000 banorë nga të cilët 400 arritën të shpëtoheshin pasi ki
17 Shtator 2018, 17:00 -
-
-
Nis pagesa në Rrugën e Kombit, sportelet ruhen me Forca Speciale
Ka nisur aplikimi i tarifës për kalimin në Rrugën e Kombit. Kompania koncesionare është shprehur se procesi ka nisur pa probleme. Janë 10 sportele ku do të kryhet pagesa, ndërkohë që vetëm për banorët e Kukësit janë vënë në funksion 2 sportele, Siç është bër&a
17 Shtator 2018, 09:43 -
Basha do ta kthente në pallat, Rama nxjerr videon e shkollës 'Kosova': Rilindi simboli i Tiranës
Tirane- Kryeministri i vendit, Edi Rama në ditën e parë të shkollës për vitin shkollor 2018-2019 ka zgjedhur të thotë mirmëngjes me ambientet e reja të shkollës Kosova në Tiranë, shkollë e cila u vendos të rindërtohet pas djegies e pasi u fitua një betejë gjyqësore pasi në vend t&
17 Shtator 2018, 09:19 -
Mangkhut godet Filipinet, rritet bilanci i viktimave, shkon në 25 dhe Uragani “Florence” humb fuqinë, bilanci i viktimave shkon në 13
SHBA- Shkon në 13 numri i viktimave të shkaktuara nga Uragani Florence që ka goditur brigjet lindore të Karolinës së Veriut të Jugut. Florence mbetet ende kërcënues për shkak të sasisë së madhe të shirave që ka sjellë dhe përmbytjeve që ka shkaktuar. Autoritetet kanë njoftuar të evakuuarit të
16 Shtator 2018, 17:24 -
Inaugurohet loti i parë i aksit Korçë-Ersekë, Gjiknuri e Peleshi inspektojnë përfundimin e investimit (Video)
Ministri i Infrastrukturës dhe Energjisë Damian Gjiknuri bashkë me Ministrin e Bujqësisë dhe Zhvillimit Rural Niko Peleshi, drejtorin e ARRSH-së Afrim Qendro dhe deputeten Elisa Spiropali inspektuan përfundimin e punimeve për ndërtimin e lotit të parë të aksit kombëtar Korçë-Ersekë. Aksi i ndërtuar ka një
16 Shtator 2018, 13:46 -
Turistët zbarkojnë në Krujë, vendet më të frekuentuara, “Pazari i vjetër” dhe Muzeu
Qytetin e Krujës këto ditë e vizituar një fluks i madh turistesh.Turistët e shumtë janë kryesisht nga Kina, Italia dhe Polonia. Por ka edhe vizitorë që vijnë ccdo ditë nga qytetet e Shqipërisë dhe nga Kosova në kala. Vendet më të frekuentuara prej vendasve, por edhe të huajve janë Pazari i vjetër dhe muzet&am
15 Shtator 2018, 23:12 -
Shfaqja erotike 'Reigen' ndez skenën e Teatrit Migjeni, mirëpritet nga publiku shkodran
SHKODER - Në Teatrin “Migjeni” në Shkodër është vënë në skemë mbrëmjen e sotme drama “Reigen” (Rrethi) me regji të austriakut Alois Galle, shkruar nga autori Artur Shcnitzler. Shfaqja e kësaj vepre në teatrot e Vjenës dhe Berlinit 100 vjet më parë për shkak të skenave er
14 Shtator 2018, 22:52 -
Abuzimi me fondet në diplomaci, KLSH: 10 ambasadorë të kthejnë paratë
TIRANE - Kontrolli i Lartë i Shtetit zbulon shkelje gjatë Auditimit “Mbi auditimin e përputhshmërisë dhe rregullshmërisë financiare”, të ushtruar në Ministrinë e Punëve të Jashtme. Sipas raportit final të KLSH rezultojnë “Debitorë të ndryshëm” deri në fund të vitit 2016
14 Shtator 2018, 18:29 -
Dridhet’ Amerika, uragani Florence solli dallgët vdekjeprurëse në 100 mijë banesa
Prej ditësh mediat dhe Agjencia Federale e Manaxhimit të Emergjencave kanë paralajmëruar rrezikun që pritej të sillte uragani Florence. Ditën e sotme ka goditur shtetin e Karolinës së Veriut me erë me shpejtësi 90 milje në orë. Florence ka zbritur në Katerogrinë 1 nga 5 që janë gjithsej por ekspert&eum
14 Shtator 2018, 17:37 -
Rama: Do t’u heqim celularët nxënësve, mësuesve dhe administratës, janë bërë si klube interneti
TIRANE-Nxënësit dhe mësuesit nuk do të lejohen që të mbajnë celular. Dy ditë para fillimit të vitit të ri shkollor, kryeministri gjatë takimit me mësuesit që u emëruan në arsim përmes portalit ‘Mësues për Shqipërinë’ deklaroi se nxënësit nuk do të lejohen q&eu
14 Shtator 2018, 15:29 -
Rektori i Universitetit të Shkodrës: Në raundin e parë u regjistruan 44% nga totali i kuotave
Emigrimi i nxënësve pasi kryejnë shkollat e mesme qoftë jashtë Shqipërisë apo edhe migrimi nga qytetet e veriut drejt Tiranës, ka ndikuar që numri i studentëve edhe këtë vit në universitetin e Shkodrës të jetë i ulët. Tashmë këtë e pranon edhe Adem Bekteshi, rektor i universitetit të Shkodrës
14 Shtator 2018, 14:19 -
Uragani “Florence” drejt SHBA, përmbytje e para në brigjet lindore
SHBA- Uragani “Florence” ka përfshirë bregdetin juglindor të Shteteve të Bashkuara të Amerikës, ndërsa autoritetet kanë paralajmëruar për kushte që rrezikojnë jetët e njerëzve. Shumë njerëz në zonën e përfshirë nga uragani kanë zgjedhur të largohen, n
14 Shtator 2018, 11:39
